سردرگمی دانشمندان از حفره‌های مرموز کف اقیانوس‌ اطلس

سه‌شنبه 18 مرداد 1401 - 12:30
مطالعه 6 دقیقه
اولین بار ۱۸ سال پیش حفره‌های مشابهی در شیار میانی اقیانوس اطلس کشف شد که دلیل تشکیلشان هنوز معلوم نیست. دانشمندان اکنون از مردم دراین‌باره نظر می‌خواهند.
تبلیغات

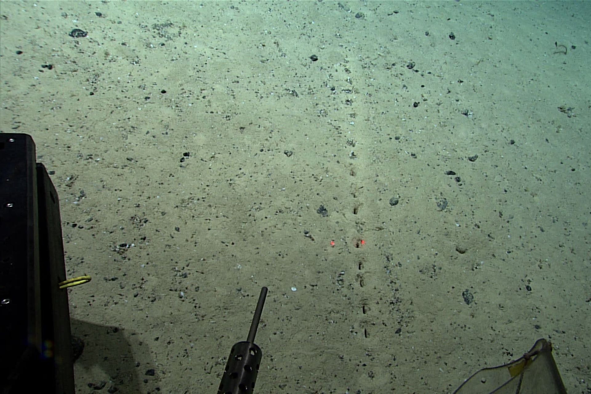
کاوشگران دریا هنگام اکتشاف اعماق ناشناخته‌ی اقیانوس اطلس به‌وسیله تجهیزات کنترل از راه دور با یک پدیده‌ی عجیب روبه‌رو شدند. به‌نظر می‌رسد در بستر اقیانوس اطلس و در داخل شیار بزرگی که در سرتاسر این اقیانوس کشیده شده است الگویی از حفره‌های مشابه به‌هم در شن کف اقیانوس وجود دارد.

آزور نام مجمع‌الجزایری متشکل از ۹ جزیره‌ی آتش‌فشانی است که متعلق به کشور پرتغال بوده و در دل اقیانوس اطلس و در ۱۵۰۰ کیلومتری غرب پایتخت این کشور قرار دارد. این جزایر که یکی از قطب‌های گردشگری پرتغال نیز به‌شمار می‌روند در نزدیکی شیار بزرگ میانی اقیانوس اطلس و درمحل تلاقی سه قاره‌ی آمریکا، اروپا و آفریقا قرار گرفته و منطقه‌ای زلزله‌خیز به‌شمار می‌رود. محققان در طی یکی از عملیات‌های اکتشافی خود در شمال منطقه‌ی آزور در تاریخ ۲۳ ژولای و در عمق ۲٫۵ کیلومتری موفق به کشف ده‌ها حفره در بستر اقیانوس شدند. الگوی قرارگیری این سوراخ‌ها به‌شکلی است که یک خط راست را تشکیل می‌دهند.

سپس یک هفته بعد محققان موفق به شناسایی چهار دسته از حفره‌های دیگر در فلات آزور شدند. این فلات که در زیر آب قرار دارد محل برخورد سه صفحه‌ی زمین‌ساختی آفریقا، آمریکا و اروپا محسوب می‌شود. این منافذ در عمق ۱٫۶ کیلومتری و ۵۰۰ کیلومتر دورتر از محل کشف اولین دسته از حفره‌ها قرار دارند. دانشمندان دقیقاً نمی‌دانند این حفره‌ها از کجا سربرآورده‌اند، بااین‌حال پیش از این گزارش‌هایی در مورد کشف حفره‌های مشابه در کف اقیانوس‌ها ارائه شده بود. دانشمندان به این حفره‌ها لیبنسپورن می‌گویند که یک عبارت آلمانی به‌معنای آثار زندگی است که به یکی از دلایل احتمالی تشکیل این سوراخ‌ها یعنی فعالیت‌ ارگانیسم‌های زنده در داخل رسوبات کف اقیانوس اشاره دارد.

صخره مرجانی بامبو

مجموعه‌ای از مرجا‌ن‌های بامبو به قطر نزدیک به یک متر در دنیای زنده اعماق اقیانوس که در اقیانوس اطلس مشاهده شد. اعتقاد دانشمندان بر این است که این مرجان حداقل ۱۰۰ سال قدمت دارد.

سوالی که دانشمندان از خود، و با استفاده از شبکه‌های اجتماعی نظیر توئیتر و فیسبوک، از عموم مردم می‌پرسند این است که چه چیزی باعث تشکیل این حفره‌ها در بستر اقیانوس شده است و چرا این حفره‌ها در فواصل ۱۰ سانتی‌متری و بیشتر از یکدیگر قرار گرفته‌اند و چرا طول خطوط تشکیل‌شده از این حفره‌ها در کف اقیانوس از ۱٫۵ تا ۱٫۸ متر فراتر نمی‌رود؟

پروژه‌ی اکتشاف اقیانوسی متعلق به سازمان ملی اقیانوسی و جوی ایالات‌متحده در صفحه‌ی توئیتر خود نوشته است:

منشا این حفره‌ها دانشمندان را مات و مبهوت کرده است. شکل سوراخ‌ها به‌گونه‌ای است که گویی توسط انسان ایجاد شده‌اند اما توده‌ی رسوباتی که در کنار سوراخ‌ها وجود دارد این احتمال را تقویت می‌کند که شاید چیز دیگری این حفره‌ها را به‌وجود آورده باشد.

امیلی کرام، سخنگوی سازمان ملی اقیانوسی و جوی می‌گوید نزدیک به دو دهه پیش در جریان یک عملیات اکتشافی دانشمندان در ۴۰ کیلومتری محل کشف اولین دسته از این حفره‌ها موفق به شناسایی حفره‌های مشابهی شدند. بااین‌حال مایکل وکیونه زیست‌شناس اقیانوسی از سازمان ملی اقیانوسی و جوی می‌گوید با گذشت زمان نیز هیچ توضیح قابل‌قبولی برای منشا این حفره‌ها ارائه نشد. گفتنی است وکیونه در پروژه‌ی اکتشاف اقیانوسی این سازمان مشارکت داشته و عضوی از همان گروه تحقیقاتی است که موفق به شناسایی حفره‌های کشف‌شده‌ی اخیر شده‌اند.

وکوینه می‌گوید:

چیز مهمی آنجا در کف اقیانوس اتفاق می‌افتد که ما از آن بی‌خبریم. این موضوع نشان‌دهنده‌ی این حقیقت است که ما از بسیاری از اسرار اقیانوس‌ها خبر نداریم.

پیدا کردن منشا این حفره‌ها تنهای یکی از اهداف تعیین‌شده ازطرف دانشمندان در قالب پروژه‌ی اکتشاف اقیانوسی است. در این پروژه محققان به اکتشاف شیار میانی اقیانوس اطلس می‌پردازند. این شیار که حاصل برخورد (یا اگر بخواهیم دقیق‌تر بگوییم، جدایش) صفحات زمین‌ساختی بوده و کوهستان‌های عظیم زیرآبی را در خود جای داده بیش از ۱۶ هزار کیلومتر طول داشته و از جنوب تا شمال اقیانوس اطلس کشیده شده است.

اسفنج شیشه ای اعماق اقیانوس

یک اسفنج شیشه‌ای ساقه‌دار که در عمق ۲.۸ کیلومتری در اقیانوس اطلس مشاهده شد. ساقه‌ی بلند برای تغذیه به داخل آب کشیده می‌شود.

کارشناسان سازمان ملی اقیانوسی و جوی در قالب سه عملیات اکتشافی به‌نام سفر به شیار ۲۰۲۲ به‌دنبال یافتن پاسخی برای پرسش‌های خود هستند، ازجمله اینکه چه ارگانیسم‌هایی در طول زنجیره‌ی آتش‌فشان‌های زیرآبی اقیانوس اطلس زند‌گی می‌کنند و همچنین درصورت توقف فعالیت‌های زمین‌ساختی، که عامل پشتیبانی از حیات اقیانوسی ازطریق تأمین گرما به‌شمار می‌روند، دقیقاً چه اتفاقی روی خواهد داد. این پروژه‌ی اکتشافی در ماه می از شهر نیوپورت در رودآیلند ایالات‌متحده شروع شده و پس از ادامه‌ی عملیات در منطقه‌ی آزور پرتغال در ماه سپتامبر در منطقه‌ی پروتوریکو در دریای کارائیب به پایان می‌رسد.

یکی از موضوعات موردتوجه دانشمندان مشغول در این پروژه، جوامع مرجانی و اسفنجی است که در اعماق ژرف اقیانوس‌ها زندگی می‌کنند. این گونه‌های حیات به اعتقاد بسیاری از محققان، از جمله درک سوورز، یکی از باارزش‌ترین اکوسیستم‌های دریایی روی سیاره‌ی زمین محسوب می‌شوند. درک سوورز هماهنگ‌کننده‌ی اکتشافات اقیانوسی است که هم‌اکنون در یکی از کشتی‌های عملیاتی سازمان ملی اقیانوسی و جوی به‌نام اوکینوز اکسپلورر حضور دارد.

سوورز معتقد است انجام عملیات‌های اکتشافی مانند سفر به شیار ۲۰۲۲ می‌تواند به ارتقای درک ما از تنوع‌ زیستی سیاره‌ی زمین و انواع ترکیبات ایجادشده توسط شکل‌های مختلف حیات اقیانوسی کمک کند.

منبع اصلی تأمین انرژی در سطح زمین نور خورشید است اما در اعماق اقیانوس که نور خورشید به‌ آنجا نمی‌رسد این وظیفه برعهده‌ی ماگمایی است که از درون زمین راه خود را به‌سوی کف اقیانوس‌ها پیدا می‌کند و با تأمین گرما و برخی مواد مغذی باعث شکوفایی حیات در اعماق دریاها می‌شود. سوورز در این‌مورد می‌گوید:

کشف این موضوع درک ما را از شرایطی که ممکن است حیات در زیر سطح آب شکوفا شود، افزایش داده است.

بعد از اینکه سازمان ملی اقیانوسی و جوی ایالات‌متحده به پلتفرم شبکه‌های اجتماعی برای نظرخواهی در مورد توضیح پدیده‌ی حفره‌های بستر اقیانوسی روی آورد هزاران کامنت از سوی مخاطبان کنجکاو سرازیر شد که برخی از آن‌ها حاوی حدس‌وگمان‌های جالبی بود. آیا این حفره‌ها ساخته‌ی دست بشر هستند؟ آیا آن‌ها می‌توانند نشانی از وجود حیات فرازمینی باشند؟ آیا این حفره‌ها در اثر حرکت زیردریایی‌ها ایجاد شده‌اند؟ آیا این حفره‌ها می‌توانند منافذی برای تنفس موجودات کشف‌نشده‌ای باشند که خود را در داخل بستر اقیانوس مدفون می‌کنند؟

اعماق اقیانوس دیپ دیسکاور کشف عمیق

ابزار کنترل از راه دور Deep Discoverer بر فراز بستر اقیانوس

وکیونه می‌گوید درستی حدس آخر چندان دور از انتظار نیست. در سال ۲۰۰۴ دکتر وکیونه با همکاری آد اکسل، محقق پیشین مؤسسه‌ی تحقیقات دریایی کشور نروژ درمورد حفره‌هایی که در آن سال در کف اقیانوس کشف شده بود با انتشار مقاله‌ای دو دلیل احتمالی برای توضیح علت تشکیل این حفره‌ها ارائه کرد. در هر یک از دو توضیح ارائه‌شده به‌وجود نوعی حیات دریایی اشاره شده بود. این دو دانشمند در سناریوی اول خود از موجودی سخن می‌گویند که یا روی بستر اقیانوس راه می‌رود یا در فاصله کمی از آن شنا می‌کند و در حین انجام این کار باعث ایجاد حفره‌هایی درون رسوبات بستر اقیانوس می‌شود. در سناریوی دوم این موجود زنده درون رسوبات زندگی می‌کند و مجراهایی در کف اقیانوس ایجاد می‌کند.

وکیونه می‌گوید حفره‌های اخیر کشف‌شده احتمالاً از سمت پایین به‌ بالا ایجاد شده‌اند. سوورز می‌گوید تجهیزات کنترل از راه‌دور با استفاده از ابزار مکش خود نمونه‌هایی از رسوبات کف اقیانوس را جمع‌اوری کرده‌اند. از این‌رو با آزمایش نمونه‌ی رسوبات می‌توان از وجود ارگانیسم در این حفره‌ها اطلاع یافت.

وکیونه می‌گوید با اینکه از کشف دوباره‌ی حفره‌های بستر اقیانوس اطلس خرسند شده اما به دلیل عدم ارائه‌ی توضیح موثق از سوی‌ داشنمندان درمورد منشأ این حفره‌ها ناامید شده است. او می‌گوید:

این موضوع نشان می‌دهد که روزی معمای حفره‌های کف اقیانوس اطلس حل خواهد شد اما اکنون ما قادر به کشف راز این ماجرا نیستیم.

سازمان ملی اقیانوسی و جوی ایالات‌متحده آخرین تفحص زیرآبی از مرحله‌ی دوم عملیات اکتشافی خود را به‌صورت زنده پخش خواهد کرد. مرحله‌ی سوم عملیات نیز در روز هفتم ماه آگوست شروع خواهد شد.

نظرات